🐟 Cá Chỉ Vàng Một Nắng Là Gì? Cách Làm Và Bảo Quản Đúng Cách

Cá chỉ vàng một nắng là một trong những món đặc sản quen thuộc của vùng biển Việt Nam, được nhiều người yêu thích nhờ hương vị đậm đà, thịt cá dai ngọt tự nhiên và cách chế biến cực kỳ tiện lợi. Không chỉ ngon, loại cá này còn dễ bảo quản và phù hợp cho cả bữa cơm gia đình lẫn kinh doanh.

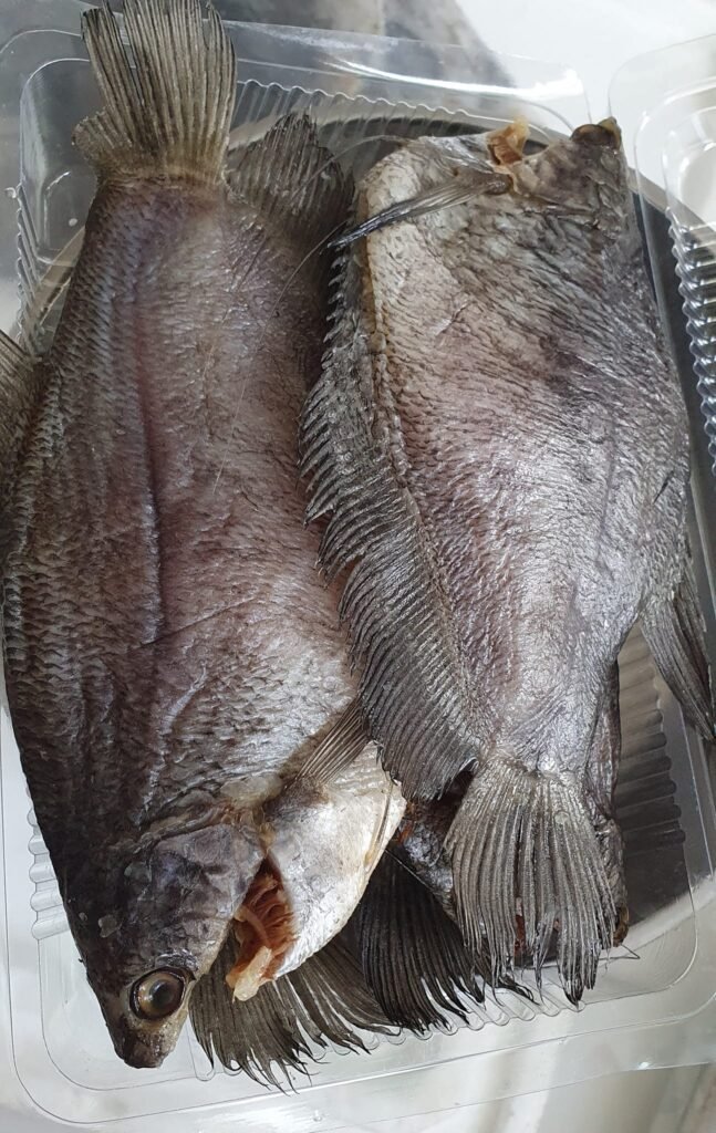
🌊 Cá Chỉ Vàng Một Nắng Là Gì?

Cá chỉ vàng là loại cá biển nhỏ, thân dẹt, có sọc vàng chạy dọc thân. Khi được sơ chế sạch và phơi đúng một nắng, cá sẽ đạt độ ráo vừa phải – bên ngoài se lại, bên trong vẫn giữ được độ mềm và ngọt.

👉 Điểm đặc trưng của cá chỉ vàng một nắng:

  • Thịt cá không quá khô như cá khô truyền thống
  • Giữ được vị ngọt tự nhiên của cá tươi
  • Khi nướng hoặc chiên có mùi thơm rất hấp dẫn
  • Dễ chế biến nhiều món ăn khác nhau

🔥 Cách Làm Cá Chỉ Vàng Một Nắng Chuẩn Ngon

Để có được mẻ cá chỉ vàng một nắng chất lượng, quy trình làm cần đảm bảo kỹ lưỡng từ khâu chọn nguyên liệu đến phơi cá.

1. Chọn cá tươi

  • Cá còn ánh bạc, mắt trong, không có mùi lạ
  • Kích thước vừa phải, không quá nhỏ hoặc quá to

2. Sơ chế

  • Mổ bụng, bỏ ruột, rửa sạch bằng nước muối loãng
  • Có thể chẻ đôi cá để dễ phơi và thấm gia vị

3. Ướp nhẹ (tuỳ khẩu vị)

  • Ướp muối, tiêu hoặc nước mắm nhẹ
  • Không nên ướp quá mặn để giữ vị tự nhiên

4. Phơi một nắng

  • Phơi dưới nắng to khoảng 4–6 tiếng
  • Tránh bụi bẩn, côn trùng (nên dùng lưới che)
  • Cá đạt chuẩn là khi bề mặt se lại, thịt còn mềm

❄️ Cách Bảo Quản Cá Chỉ Vàng Một Nắng

Bảo quản đúng cách giúp cá giữ được độ ngon và an toàn khi sử dụng.

✔️ Bảo quản ngắn ngày

  • Để trong ngăn mát tủ lạnh
  • Dùng trong 2–3 ngày

✔️ Bảo quản lâu dài

  • Đóng túi kín hoặc hút chân không
  • Bảo quản trong ngăn đông từ 1–3 tháng

✔️ Lưu ý quan trọng

  • Không để cá ở nhiệt độ phòng quá lâu
  • Tránh để cá tiếp xúc không khí gây khô và mất mùi
  • Khi dùng, rã đông tự nhiên để giữ chất lượng

🍽️ Gợi Ý Món Ngon Từ Cá Chỉ Vàng Một Nắng

Cá chỉ vàng một nắng cực kỳ “đa năng”, dễ chế biến thành nhiều món hấp dẫn:

  • Nướng than: Thơm lừng, lớp da giòn, thịt mềm
  • Chiên giòn: Ăn kèm cơm nóng hoặc xoài chua
  • Làm gỏi: Kết hợp rau sống, nước mắm chua ngọt
  • Rim mặn ngọt: Đậm đà, hao cơm

Để lại một bình luận

Email của bạn sẽ không được hiển thị công khai. Các trường bắt buộc được đánh dấu *